L’île de la réunion regorge de plages toutes plus belles les unes que les autres. Mais il vous faudra savoir que malheureusement il est possible de se baigner que dans très peu d’entre elles. En effet depuis plusieurs années les attaques de requins s’étant multipliées une grande partie des plages sont interdites de baignade ou sont limitées aux baignades dans des bassins protégés par des filets. Un seul endroit reste accessible pour se baigner en toute liberté : le lagon! Je vais essayer de vous dresser une liste non exhaustive des endroits à visiter sur la côte et des plages à voir !
Le lagon et la plage d’hermitage les bains
Cette plage de sable fin est pour ma part l’une des plages les plus belles et paradisiaque de l’île . Cet espace naturel se situe sur la côte ouest. Cette plage est très prisée des touristes mais également des locaux le week-end pour leurs traditionnels pique-nique. Pour vous restaurez vous trouverez beaucoup de restaurants et snacks le long de la plage qui vous permettrons de manger avec une vue unique.

Dans ce lagon vous trouverez une diversité d’animaux marins incroyable. Vous pourrez y faire du snorkling dans une haut chaude et très peu profonde, ce qui permet d’observer les animaux de très (très) près. Une boutique sur la plage loue des masques et tubas si vous ne pensez pas à emmener les vôtres. Pour ma part j’avais opté pour les nouveaux masques Decathlon (easy breath) qui sont parfait pour l’exploration de ces eaux peu profondes où il n’y a pas besoin de plonger.






Sur le lagon vous pourrez également faire du canoë, le prix n’est pas très cher et vous aurez une vue unique de la plage.


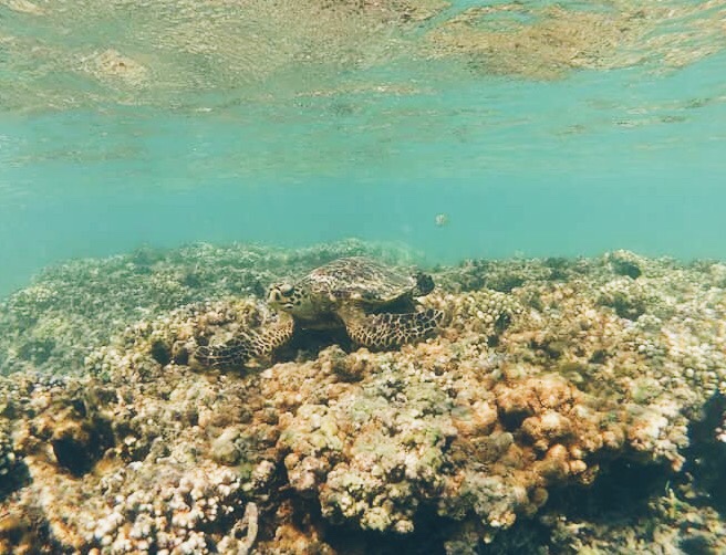
Kelonia
Kelonia est une des activités à faire que vous soyez à la réunion en famille ou en couple. Ce centre d’observation et de protection des tortues se situe sur la commune de Saint leu. Cette visite vous permettra de mieux comprendre l’exploitation des tortues sur l’île dans le siècle précédent. En effet cette ancienne usine qui servait à l’élevage des tortues pour produire et vendre leurs écailles et leur chair est désormais un lieu de sensibilisation du grand public et de protection des tortues.

La plage de boucan canot
La plage est célèbre pour ses différents restaurants et bars qui font face à la mer. Le Spot et idéal pour le coucher de soleil. D’ailleurs je vous mets ici les adresses où j’ai pu manger et où je me suis régalée : Le ti boucan et kivala.


plage de Grande Anse
Cette plage se situe au sud le l’île proche de la ville de Saint pierre. Cette plage garde un côté sauvage et loin des plages plus touristiques du reste de l’île.

Cap méchant
Le cap méchant se situe dans la partie Sud de l’île sur la commune de Saint-philippe. Bien plus sauvage que la côte Ouest ici le vent y est plus fort et les vagues peuvent vous offrir un joli spectacle. Les couleurs y sont magnifiques pour les amateurs de photos.


Cap de la houssaye
Cap se situant sur la côte ouest, vous pourrez y observer de jolis coucher de soleil et des sauts de baleines pendant la saison. De ce point part aussi des balades dans la savane du cap de la houssaye.


la sortie cétacés
Une des raisons pour aller à la réunion pendant l’hiver austral est la possibilité de voir les baleines à bosse. En effet la réunion est connue pour attirer les baleines durant la période où elles viennent donner naissance à leurs petits( de juin à octobre). Lors de cette période il est très fréquent de les observer et même du rivage !
Sur l’île plusieurs options s’offrent à vous pour aller les observer : en catamaran, en zodiaque ou en snorkling. Lors de mes différentes sorties en mer j’ai pu tester le catamaran qui est un mode plaisant et agréable (bien que j’ai eu le mal de mer ) mais il me semble que pour l’observation des baleines et des dauphins un bateau pouvant aller plus vite sur les différents lieux est préférable. Je vous recommanderai donc une sortie sur un bateau de type zodiaque, moins confortable mais plus pratique pour l’observation des cétacés à mon goût.


Pour les personnes plus à l’aise dans l’eau et qui rêve de nager avec les baleines et les dauphins il faut savoir que c’est possible à la réunion et cela reste un des moments les plus beaux de mon voyage. En effet lors de la période d’observation des baleines plusieurs compagnies proposent de vous accompagner en bateau pour aller observer les animaux. Vous pourrez alors faire plusieurs mises à l’eau si les conditions le permettent. Pour ceux qui ont peur de tomber nez à nez avec messieurs les requins n’ayez crainte l’équipe sur le bateau est très bien formée et vous expliquera qu’il n’y a aucun danger si vous suivez les recommandations … pour ma part je n’ai ressenti aucune peur lors de mes deux excursions. J.ai réalisé les sorties avec deux compagnies différentes car lors de ma première sortie la mer n’a pas été clémente et l’eau, trop trouble, ne nous permettait pas de nager en sécurité avec une bonne visibilité. Lors de ma deuxième excursion j’ai eu la chance d’avoir un temps magnifique et une mer claire. Et quand tout est réuni je peux vous assurer que vous vivrez un moment magique. J’ai observé à quelques dizaines de mètres des baleines et leurs petits. Voici les deux compagnies que j’ai choisie les deux équipes étaient au top, ils m’ont appris beaucoup de chose et sont dans une dynamique de respect des animaux et de leur environnement. https://www.reunionplongee.com Et https://www.batopei.com. Dans les deux cas se sont des bateaux avec peu de personnes à bord donc beaucoup plus personnel que les excursions en grand groupe ! (pensez à réserver à l’avance)
Vous trouverez des vidéos sur le site d’un des prestataires de l’activité, cela vous donnera une idée de ce que l’on peut voir en snorkling en pleine mer. Cette vidéo est la vidéo faite durant ma sortie : sortie baleine 19 août ou sur facebook en suivant la page « scubananas-réunion plongée ».
Laisser un commentaire